Eladó Telek Zalacsány - Csányi László utca

8 797 m2Alapterület 0 Szoba
99 000 000 Ft Ár
392982Azonosító
További adatok

Panoráma Kilátás

Tömegközlekedés

BEFEKTETŐK, INGATLANFEJLESZTŐK FIGYELEM!

Kivételes befektetési lehetőség Zalacsányban, közvetlenül a Batthyány kastélyszállóval szemben!
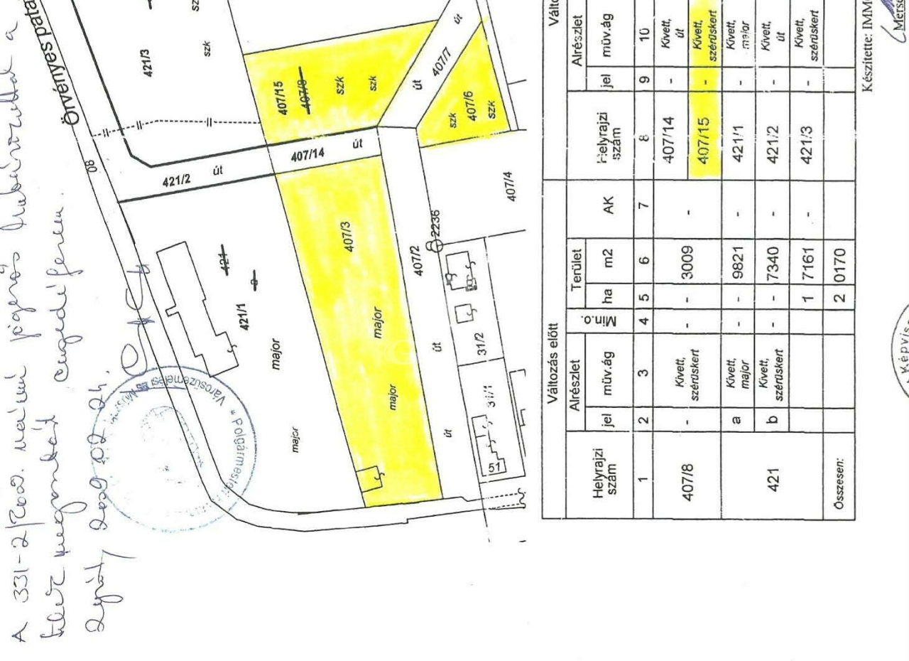
Eladásra kínálok egy összesen 8 797 m²-es belterületi telket, amely 3 külön helyrajzi számon szerepel:
- 5 275 m²
- 2 470 m²
- 1 052 m²

A telkek igény szerint külön-külön vagy egyben is megvásárolhatók.

--------------------
1) 407/3 hrsz. – 5 275 m² telek
Beépíthetőség: bruttó 1 302 m² épület építhető
Fejlesztési lehetőség:
- 30 lakás
- 5 tömb x 6 lakás

Ár: 5 275 m² x 12 000 Ft/m² = 63 300 000 Ft
--------------------
2) 407/15 hrsz. – 2 470 m² telek
Beépíthetőség: bruttó 608 m² épület építhető
Fejlesztési lehetőség:
- egészségügyi funkciójú és egyéb rekreációs rendeltetésű épület
- + 1 lakás

Ár: 2 470 m² x 12 000 Ft/m² = 29 640 000 Ft
--------------------
3) 407/6 hrsz. – 1 052 m² telek
Beépíthetőség: bruttó 263 m² épület építhető
Fejlesztési lehetőség:
- egészségügyi funkciójú és egyéb rekreációs rendeltetésű épület
- + 1 lakás

Ár: 1 052 m² x 12 000 Ft/m² = 12 624 000 Ft
--------------------

A 3 telek egyben (összesen 8 797 m²) ára: 99 000 000 Ft

Irányár / négyzetméterár: 12 000 Ft/m²

--------------------
Beépítési paraméterek
- Beépíthetőség: 25%
- Párkánymagasság: 6 méter
- Építménymagasság: földszint + emelet + tetőtér

A telek belterületi, elvi építési engedéllyel rendelkezik, a megvalósítási terv elkészült.
A maximális beépíthetőséget kihasználó látványtervek a hirdetésben megtekinthetők.

--------------------
Közművek
Közművek a telekhatáron:
- víz
- villany
- csatorna
- gáz
- internet

A két kisebb teleknél a közmű kb. 200 méterre található.

--------------------
Kiemelkedő befektetési környezet
- A kastélyszálló nagyon jó kihasználtsággal működik.
- A környék turisztikailag kiemelt: termálturizmus, Balaton-közelség, golf.
- Egészségügyi vagy fogászati rendelő a balatoni és termálvizes idegenforgalom miatt várhatóan kiválóan működne.
- Szomszédságban panzió, golfpálya, előkelő környezet.

Megközelítés:
- Keszthelyen vasút
- a tervezett M76 gyorsforgalmi út tovább növeli a térség értékét

Közelben:
- Keszthely
- Hévíz
- Kehidakustány
- Balaton
- Sármelléki repülőtér
- Ausztria

--------------------
További lehetőség
Igény esetén további 15 hektár terület is értékesítésre kerül.

Kérdéseivel keressen bizalommal!
Országh Eszter

Országh Eszter

Hívjon bizalommal

+36-30-648-Mutasd!

További hirdetéseim

Ingatlaniroda
GDN Ingatlanhálózat - HázPont
+36 30 785 2223

Küldjön üzenetet

Visszahívást kérek

Hasonló ingatlanok